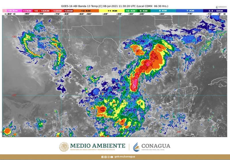
Se prevén lluvias casi en todos los estados de la República Mexicana.
Ciudad de México. Este jueves, de acuerdo con el Servicio Meteorológico Nacional (SMN), se pronostican lluvias puntuales intensas (de 75.1 a 150 milímetros [mm]) en Guanajuato, Jalisco, Querétaro y San Luis Potosí; muy fuertes (de 50.1 a 75 mm) en regiones de Coahuila, Colima, Michoacán, Morelos, Nuevo León, Tamaulipas y Zacatecas; fuertes (de 25.1 a 50 mm) en zonas de Aguascalientes, Ciudad de México, Durango, Estado de México, Guerrero, Hidalgo, Nayarit, Oaxaca, Puebla, Sinaloa y Veracruz; intervalos de chubascos (de 5.1 a 25 mm) en Chiapas, Chihuahua, Quintana Roo, Sonora y Tlaxcala, y lluvias aisladas (de 0.1 a 5 mm) en Baja California Sur, Campeche y Tabasco.
Las lluvias descritas podrían acompañarse de descargas eléctricas, vientos fuertes y posibles granizadas, además de provocar deslaves, incremento en los niveles de ríos y arroyos, y desbordamientos e inundaciones en zonas bajas, por lo que se exhorta a la población de los estados mencionados y a la navegación marítima a atender los avisos del Servicio Meteorológico Nacional (SMN) de la Comisión Nacional del Agua (Conagua) y seguir las indicaciones de las autoridades estatales, municipales y de Protección Civil.
Asimismo, se prevé viento de componente sur (Surada) con rachas de 60 a 70 kilómetros por hora (km/h) en Campeche, Chiapas, Tabasco, Tamaulipas, Veracruz y Yucatán, y de 50 a 60 km/h en Chihuahua, Coahuila, Durango y Quintana Roo.
Estas condiciones serán generadas por un vórtice en niveles medios y altos de la atmósfera sobre el noreste del país; la Onda Tropical Número 8 sobre el sur y occidente de México; un canal de baja presión extendido a lo largo de la Sierra Madre Occidental, y el ingreso de humedad proveniente de ambos océanos.
Se prevén temperaturas mínimas de 0 a 5 grados Celsius en las montañas de Chihuahua, Durango y el Estado de México.
En contraste, continuará el ambiente de caluroso a muy caluroso sobre entidades del noroeste y norte del país, con temperaturas de 40 a 45 grados Celsius en zonas de Baja California y Sonora, y de 35 a 40 grados Celsius en sitios de Baja California Sur, Campeche, Quintana Roo, Sinaloa, Tabasco y Yucatán.
Esta madrugada, el centro de la tormenta tropical Elsa se localizó en tierra aproximadamente a 145 kilómetros (km) al oeste-noroeste de Charleston, Carolina del Sur, Estados Unidos de América. El sistema está a mil 420 km al nor-noreste de Cabo Catoche, Quintana Roo, y no representa riesgo para el territorio mexicano, pero se mantiene en vigilancia.
Noticias que podrían interesarte:
- Nuevo criterio laboral en México: así cambian los descuentos Infonavit en 2026 y lo que debes saber hoy
- Clima hoy 20 de marzo en México: lluvias, calor extremo y así inicia la primavera 2026
- Becas del Bienestar 2026: revelan cuándo inicia el pago en abril y quiénes recibirán depósito doble
- ¡El dólar sorprende en México! Así amanece HOY 20 de marzo de 2026 y esto debes saber
- Clima en México hoy: lluvias intensas y calor extremo impactan varios estados este 21 de marzo













